Bekendmaking voornemen 1-op-1 uitgifte grondruil grond Pastoor Roesweg in Maren-Kessel

Voornemen verhuur van grond en vestiging van een (huurafhankelijk) recht van opstal

De gemeente Oss maakt hierbij bekend dat zij het voornemen heeft om zonder openbare selectieprocedure:
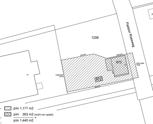
1. Een perceel grond, gelegen aan/nabij Pastoor Roesweg te Maren-Kessel, kadastraal bekend gemeente LITH sectie F nummers 972, 973 (beiden geheel) en 1256 gedeeltelijk, te verhuren. Dit betreft het hieronder met streep- en kruisarcering aangegeven perceel; en
2. Op die grond een huurafhankelijk recht van opstal te vestigen. Dit betreft de hieronder met kruisarcering aangegeven percelen.

plattegrond

Omschrijving van het object

Het betreft gronden met de bestemming ‘Sport’ met de functieaanduiding ‘specifieke vorm van sport – gildeterrein’, waarop zich reeds opstallen bevinden die eigendom zijn van een gilde en door datzelfde gilde gebruikt worden als verenigingsaccommodatie (waaronder een verenigingsgebouw/kantine met toebehoren).

Op het perceel rust reeds ten behoeve van het betreffende gilde een recht van opstal. Dit bestaande recht van opstal zal voortijdig worden beëindigd, terwijl gelijktijdig met deze beëindiging, een perceel grond ter grootte van 1.440m2 in huur wordt uitgegeven en een huurafhankelijk recht van opstal wordt gevestigd, mede in verband met een voorgenomen investering door het gilde en de uitbreiding van de bestaande verenigingsaccommodatie.

Motivering – één serieuze gegadigde

De gemeente Oss is van oordeel dat voor de voorgenomen verhuur en vestiging van het huurafhankelijk recht van opstal objectief gezien slecht één serieuze gegadigde in aanmerking komt, en overweegt daarvoor het volgende:

- Het perceel wordt reeds langdurig gebruikt door het gilde;
- De bestaande opstallen zijn door en voor rekening van het gilde gerealiseerd en specifiek ingericht voor gebruik als gildeterrein en verenigingsaccommodatie;
- Het beoogde gebruik (sport/gildeactiviteiten) sluit aan bij de geldende bestemming en is functioneel onlosmakelijk verbonden aan het gilde;
- Het perceel en de opstallen zijn niet zelfstandig en niet doelmatig te gebruiken door derden zonder beëindiging van het bestaande gebruik en zonder verlies van investeringen;
- Andere gegadigden kunnen redelijkerwijs niet in gelijke mate aanspraak maken op het gebruik van het perceel en de daarop aanwezige opstallen.

Gelet hierop is de gemeente van oordeel dat het gelijkheidsbeginsel zich niet verzet tegen een één-op-één uitgifte.

Reageren

Tegen de voorgenomen uitgifte kunt u geen zienswijzen, bezwaren of beroep in de zin van de Algemene wet bestuursrecht indienen of instellen. Mocht u het niet eens zijn met ons besluit, en heeft u een rechtstreeks belang bij de zaak? Dan dient u dat binnen een termijn van 20 kalenderdagen na publicatie van deze bekendmaking, kenbaar te maken. Dat doet u door een kort geding tegen dit voornemen aanhangig te maken bij de voorzieningenrechter van de rechtbank.
U kunt dus reageren vanaf 8 januari tot 28 januari 2026. Deze termijn merken wij aan als vervaltermijn.

Informatie

Neem contact op met een van de medewerkers grondzaken van de gemeente Oss, bereikbaar via telefoonnummer 140412.